Compartir

El municipio de Trenque Lauquen pagó esta semana los cinco (5) millones de pesos que restaban y completó el total de 17.160.000 pesos por la compra de cuatro (4) hectáreas de tierra en la ciudad de Treinta de Agosto que eran propiedad de la Diócesis de Santo Domingo, de Nueve de Julio, y que serán destinadas a la instalación de futuros planes de vivienda, dando así un paso decisivo más hacia la concreción del anuncio realizado por el intendente Miguel Fernández, en ocasión del último aniversario de la localidad.
Después de intensas negociaciones y en el marco de la Ordenanza nº 5214/2021 aprobada por el Honorable Concejo Deliberante, el martes 16 de noviembre pasado en instalaciones del Ente Descentralizado se había firmado el convenio de compra por parte del Municipio, ocasión en la que se abonaron 12.160.000 pesos a manera de anticipo.
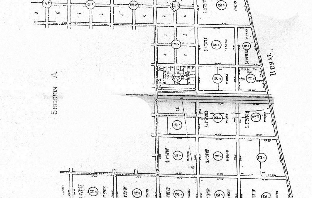
El inmueble que pasa a conformar el Banco de Tierras Municipal está identificado catastralmente como Circunscripción XIII Sección B Quinta 49 Partida 1206, con una superficie de 43.000 metros cuadrados y su ubicación amplía las posibilidades de desarrollo para completamiento de la trama urbana.