
MI LOTE: YA ESTÁ EL LISTADO PROVISORIO FINAL Y SE ABRE EL PERÍODO DE IMPUGNACIONES
En una nueva etapa del Programa Municipal Mi Lote, las direcciones de Tierras y Sistemas de la Municipalidad de Trenque Lauquen confirmaron el LISTADO PROVISORIO FINAL que quedó conformado con los postulantes que completaron el trámite correctamente a través del formulario online.
Con el LISTADO PROVISORIO FINAL confeccionado, ahora se abre un período de impugnaciones de 5 días hábiles que se inicia hoy miércoles 29 de octubre y concluye el miércoles 5 de noviembre a las 13 horas.
Este LISTADO PROVISORIO FINAL ya está publicado en el sitio web oficial de la Municipalidad de Trenque Lauquen y constituye el padrón previo al sorteo público y a la presentación de la documentación que será requerida y evaluada en la etapa final del proceso.
Durante el plazo establecido, cualquier persona podrá formular impugnaciones cuando se advierta que un inscripto no cumple con los requisitos previstos en la Ordenanza N° 5661/2025.
A diferencia de las etapas anteriores, todas las presentaciones deberán efectuarse por escrito en forma presencial mediante una nota en la oficina de Desarrollo Humano ubicada en calle 25 de Mayo nº 44, dentro del plazo fijado para observaciones.
Vencido el término, el Municipio, a través de la dirección de Tierras y la dirección de Sistemas, procederá a la confección del PADRÓN DEFINITIVO, que será utilizado para el sorteo público de adjudicación de lotes.
Toda la información se encuentra disponible en https://www.trenquelauquen.gov.ar/milote/.
El Programa Municipal Mi Lote es una iniciativa destinada a personas y familias que buscan acceder a un terreno para la construcción de su vivienda única y permanente aprobada mediante la Ordenanza 5661/2025, y cuenta con un total de 90 terrenos, 56 en Trenque Lauquen, en el área de la Ampliación Urbana, a escasos metros del Parque Lineal; 28 en 30 de Agosto, en un predio que el Municipio le compró a la Diócesis de 9 de Julio, 4 en Beruti y 2 en Garré.
LISTADO PROVISORIO FINAL (click aquí)
| DNI | Apellido y Nombre |
| 39672152 | Abalos , Dalmiro Alberto |
| 34173317 | Abraham , Ivan Alberto |
| 31467116 | Abt , Jimena Soledad |
| 35097096 | Accursio , Jonatan David |
| 36760846 | Acosta , Anastasia |
| 24488803 | Acosta , Marcelo |
| 44062898 | Acosta , Paola Belen |
| 47189349 | Acuña Pérez, Alfa Lena |
| 44206600 | Afch , Ariel Eduardo |
| 34115491 | Aguilar , Maximiliano |
| 28393007 | Ahumada , Mariana |
| 26348403 | Alaimo , Jorge Alejandro |
| 29493401 | Alanis , Silvana |
| 38863568 | Albano , Sofia Mercedes |
| 39810623 | Alcalde , Julieta |
| 42088242 | Alcalde , Valentin |
| 26494231 | Alfonso , Jose Maria |
| 43512150 | Almeida , Iara |
| 39830832 | Almeida , Rocío Daniela |
| 37033552 | Almeira , Daniela Melina |
| 27714100 | Aloma , Carlos Andres |
| 36770314 | Alonso , Jose Luis |
| 32391074 | Alonso , Paola Celeste |
| 34382682 | Alonso , Victoria |
| 38918992 | Alonso Moyano, Magali Maria |
| 42773324 | Altamiranda , Sabrina |
| 28599842 | Altamirano , Gaston Rodrigo Oscar |
| 34170430 | Alvarez , Berenice |
| 42040306 | Alvarez , Camila Milagros |
| 35097058 | Alvarez , Gustavo Adrian |
| 37425704 | Alvarez , Juan Eduardo |
| 33586966 | Alvarez , Luciana |
| 31481996 | Alvarez , Maria Celeste |
| 34382818 | Alvarez , Marianela |
| 39351047 | Alvarez , Tamara Daiana |
| 40493793 | Alvarez , Tomas |
| 24911465 | Alvarez, Sergio Fabián |
| 37425648 | Alvarez Perez , Keila Nicole |
| 40258961 | Amador , Maria Milagros |
| 42294453 | Amador , Nicolas Andres |
| 33985202 | Amaya , Cristian Martin |
| 31658664 | Amicone , Joaquin |
| 39351196 | Amicone , Juan Pedro |
| 36770300 | Amicone , Lucia |
| 43798011 | Amiconi , Kevin |
| 41873697 | Amiconi , Matias Jose |
| 35097057 | Amoroso , Lucas Daniel |
| 46692790 | Andiarena , Bautista |
| 36770407 | Andrada , Gonzalo Nicolas |
| 44113648 | Andrade , Maria Sol |
| 38918983 | André , Ivo Alexis |
| 28532370 | Angeleri , Daniela Belen |
| 33829328 | Antonio , Diego Ruben |
| 41873629 | Antonio , Malvina Soledad |
| 35768566 | Aostri , Santiago Iván |
| 33167670 | Aragón, Irina |
| 38916071 | Aranda , Juan |
| 23912208 | Aranda , Ruben Alfredo |
| 36770401 | Arango , Hugo Emmanuel |
| 41884044 | Argüello , Federico |
| 38083043 | Arias , Gaston Emiliano |
| 42619073 | Aristimuño Moya, Camila |
| 32391915 | Ariztimuño , Alejandro Oscar |
| 33257929 | Ariztimuño , Valeria Soledad |
| 28885224 | Armas , Lucas Daniel |
| 41068608 | Armas , Micaela |
| 39508299 | Arol Lanz , Shirley |
| 34487018 | Arrieta , Maria Soledad |
| 39351199 | Arrieta , Michel |
| 42042541 | Arruti , Agustin |
| 38632096 | Artigas , Juan Manuel |
| 43462759 | Ascre , Lucia |
| 41538791 | Avecilla , Antonella |
| 27603161 | Avincetto , Marcelo Miguel |
| 39351156 | Azpiroz , Fernan |
| 34876970 | Bacci , Jose Miguel |
| 41873654 | Bacci , Maico Fernando |
| 34382981 | Badaloni , Walter Andres |
| 33452613 | Baez , Jorge Daniel |
| 42418306 | Baez , Juan Cruz |
| 44113615 | Baez , Ramiro |
| 29204136 | Baigorria , Rosana |
| 41724223 | Bailon , Florencia Ayelen |
| 43454915 | Bailon , Mario Guillermo Braian |
| 42995865 | Baini , Lucas Octavio |
| 36704932 | Ballesteros , Stefania Jeanette |
| 20505243 | Banegas , Irma Liliana |
| 30145458 | Barat , Maria Jimena |
| 40493796 | Barbaste , Juan Ignacio |
| 40809335 | Barbaste , Matias |
| 30677865 | Barbero , Carlos Hernan |
| 40756688 | Baretta , Abril |
| 30764662 | Barinaga , Mauro Roque Darío |
| 39830802 | Barissón , Florencia |
| 29417707 | Barreiro , Cristian |
| 44426579 | Barreiro , Milagros |
| 33829333 | Barrera , Daiana |
| 35097010 | Barrera , Jonathan Daniel |
| 40019869 | Barreto , Camila |
| 38632107 | Barrio , Luciana Belen |
| 20666705 | Barrios , Cristina Alejandra |
| 33586948 | Baselli , Damián Esteban |
| 39351117 | Baselli , Estefania Maite |
| 45628760 | Bassani , Lorena |
| 38083228 | Belardo Vilas , Agustin |
| 39508286 | Belardo Vilas , Juliana |
| 34382663 | Bellemans , Jonatan Eduardo |
| 37033427 | Bellemans , Maria Belen |
| 39351091 | Bellemans , Noelia Elisabet |
| 38083403 | Benedetti , Eliana Magalí |
| 45913928 | Benedetti , Gisella |
| 32989536 | Beneitez , Analia |
| 43907320 | Benitez , Maria Elena |
| 39280126 | Benito , Maximiliano Vicente |
| 23068500 | Bentrovato , Christian |
| 38633207 | Bernal , Florencia |
| 41548891 | Bernasconi , Miguel Angel |
| 32989570 | Bernatta , Maria Josefina |
| 23259841 | Berón , Gustavo Andrés |
| 38083172 | Besga , Lucas Gabriel |
| 18622909 | Bethouart , Hector Fabian |
| 33829334 | Bevilacqua , Jonatan |
| 40978176 | Biggi , Sophie |
| 17454956 | Bigi , Ismael Alfredo |
| 42542104 | Boedo , Mariano |
| 94310131 | Bogarin Alegre , Miriam |
| 34115584 | Bonaccorsi , Lucas Martin |
| 36770223 | Bonanno , Walter Ezequiel |
| 25335338 | Boquín, María De Los Angeles |
| 16267436 | Borras , Christian Luis |
| 22800150 | Boses , Andrea |
| 39508364 | Bracamonte , Yoel |
| 45066343 | Bretones , Juan Jose |
| 25335205 | Briguez , Rodrigo Carlos |
| 40809323 | Brisoliz , Fernando |
| 37425869 | Brisoliz , Marianela |
| 32692569 | Britos , Juan Agustin |
| 30463748 | Brunelli , Leandro Luis |
| 41896042 | Buffarini , Fiorella |
| 33586903 | Buffarini , Jesica |
| 37421653 | Buffarini , Jorge Damian |
| 38925352 | Burgat , Camila Solange |
| 33586981 | Burzichelli , Cristian |
| 36887685 | Cabral , Emanuel |
| 35407279 | Cabrera , Daniela Alejandra |
| 41167550 | Cabrera , Joan Franco |
| 34382933 | Cabrera , Lucas Manuel |
| 37784408 | Cabrera , Maria Azul |
| 27856158 | Cabrera , Nazareno |
| 33095881 | Cáceres , Pablo Ariel |
| 42294435 | Calabaza , Santiago Nahuel |
| 24441748 | Caldentey , Noemi Cristina |
| 31482641 | Calello , Martin Santiago |
| 42901555 | Caligari , Brenda |
| 34170414 | Calles , Braian |
| 31952731 | Calvo , Juan Pablo |
| 37033547 | Calvo , Nicolas |
| 18370960 | Calvo , Silvia Esther |
| 30902211 | Camarero , Pablo Andres |
| 32692339 | Campo , Cristian Gustavo |
| 43056502 | Campo , Santiago Esteban |
| 95225324 | Candia , Rafaela |
| 38863533 | Cando , Yamila |
| 41203842 | Cañete , Carlos Elias |
| 30145284 | Cañete , Cristian Miguel |
| 34876633 | Cao , Mariana Alejandra |
| 40551614 | Carabajal , Mailen Yamila |
| 39508316 | Carabelli , Lucio |
| 30317801 | Carballo , Maria Bernardita |
| 38585147 | Carbone , Aldana |
| 36770214 | Cardoso , Daiana Eleonor |
| 33587092 | Cardoso , Eliana Noely |
| 31016231 | Cardoso , Lucrecia Anahi |
| 34799507 | Cardoso Amador, Valeria |
| 44426587 | Cardoso Lujan, Angel Leonel |
| 36770257 | Carena , Alejandra Raquel |
| 38632113 | Carini, Margarita |
| 39850963 | Carmona , Cristian Andres |
| 38632102 | Carmona , Yamila Ailen |
| 42542157 | Carnero , Melina Violeta |
| 36770180 | Carnez , Alexis Emmanuel |
| 42235512 | Carnez , Katherine Nicole |
| 26294583 | Carreño , Ana Ines |
| 37033700 | Carrera , Candela |
| 27721186 | Carrizo , Marcela Natalia |
| 34876971 | Casado , Federico Daniel |
| 35803842 | Casas , Jonatan Eduardo |
| 20545081 | Casavecchia , Marcela Alejandra |
| 42040473 | Castañares , Wanda Estefania |
| 39850951 | Castaño , Pablo Ezequiel |
| 17585741 | Castello , Dante Vicente |
| 33467991 | Castia Lemos, Yamila Belen |
| 31998472 | Castro , Maria Jose |
| 25700782 | Castro , Verónica Andrea |
| 23698576 | Cejas , Claudia Elizabeth |
| 35097300 | Cejas , Manuel |
| 38863461 | Cejas , Marisol |
| 23294740 | Cenizo , Gustavo |
| 22211819 | Cenizo , Nestor Fabian |
| 41884011 | Cenizo , Solana Mailén |
| 42397680 | Centeno , María Rufina |
| 39597113 | Cepeda , Maximiliano Miguel |
| 39508351 | Cepeda Triciani, Jazmin |
| 42040481 | Cerinignana , Julian |
| 38632269 | Cerna , Cristian |
| 39850919 | Cerna , Maximiliano |
| 44426539 | Cerviño , Candela |
| 42901562 | Chamorro , Valentin |
| 36760852 | Changazzo , Gabriel Agustin |
| 31952750 | Changazzo , Laura Beatriz |
| 35795411 | Charlier , Johanna Gabriela |
| 37425683 | Charlier , Yesica |
| 38863600 | Charo , Marcelo Gabriel |
| 39508215 | Chaves , Sofia Belén |
| 40743573 | Chazarreta , Erika Delfina Nerea |
| 40743544 | Chazarreta , Sofia |
| 44839894 | Chazarreta , Sofia Alejandra |
| 41603078 | Chiani , Lautaro |
| 37425803 | Chico , Anabela |
| 39810660 | Chico , Nicolas Gabriel |
| 41542856 | Cicconi , Juan Pedro |
| 37425979 | Cikora Cufre, Mariquena |
| 37372726 | Cionofrino , Maria Jose |
| 30463978 | Cionofrino , Verónica |
| 36770113 | Claus , Carlos Ignacio |
| 39810635 | Collado , Valeria |
| 40528035 | Concolino , Fernando Daniel |
| 38083316 | Conenna , Santiago Ariel |
| 22496359 | Confalonieri , Cristian Sebastián |
| 34876596 | Coña , Martín Alejandro |
| 32066812 | Corbalan Cabrera, Monica Alejandra |
| 13251320 | Cordoba , Jorge Oscar |
| 31907497 | Cordoba , Rita Mariana |
| 27854314 | Coria , Oscar Eduardo |
| 40809315 | Coronel , Milagros Leticia |
| 37425922 | Corral , Brian |
| 40013521 | Corral , Celeste |
| 38916176 | Corral , Nicolás |
| 31648258 | Cortese , Néstor Jonatan |
| 26648896 | Corti , Yanina Elizabet |
| 40809317 | Cotta , Lautaro Armando |
| 37425988 | Cotta , Lucas Emanuel |
| 17313377 | Covino , Marisa Rosana |
| 38632300 | Covino , Carla Antonella Michele |
| 39850826 | Crespo , Aldana Jazmin |
| 42040333 | Crespo , Martina |
| 39596437 | Cresto , Kevin |
| 21451435 | Cresto , Rodolfo Oscar |
| 41167230 | Criado , Johanna Lisette |
| 28885177 | Crowder , Amanda |
| 37761867 | Cruz , Maria Celeste |
| 40718074 | Cuccaro , Juan Ayrton |
| 41866162 | Culaciati , Erica Elisabet |
| 36988317 | Cutrin , Karina Noemi |
| 27354610 | Danda , Juan Pablo |
| 35050254 | Danuso , Mercedes Antonia |
| 38632210 | Dasseville , Sofia |
| 44535113 | De Las Heras , Valentín |
| 32198123 | De Llanes , Maria Eugenia |
| 37189375 | Debortoli , Juan Abel |
| 37425912 | Debortoli , Marina |
| 38083096 | Debortoli , Mauricio Nahuel |
| 39810550 | Del Valle, Fabricio |
| 27856013 | Delgado , María Fabiana |
| 39810519 | Delmagro , Jennifer Tamara |
| 37425634 | Delmagro , Pablo Matias |
| 34876606 | Denegri , Luciana |
| 39280115 | Denegri , Wanda |
| 32198147 | Depaulo , Pamela |
| 37425828 | Diaz , Andrea Carolina |
| 39932014 | Diaz , Carolina Guadalupe |
| 27082861 | Díaz , Clarisa |
| 44592638 | Diaz , Lautaro Antonio |
| 31481847 | Diaz , Leonardo Manuel |
| 43798085 | Diaz , Manuela |
| 37033426 | Diaz , Maria Eugenia |
| 32547437 | Diaz , Maricel |
| 22050153 | Diaz , Patricia Alejandra |
| 41068667 | Diaz , Tamara Rocio |
| 38083149 | Diaz Bernard , Joaquin |
| 41570888 | Diaz Pagella, Luz Denise |
| 48587713 | Diaz Savy, Gerard |
| 45988909 | Digiacoma , Tomas Ariel |
| 34382910 | Distasio , Martin Alejandro |
| 36770174 | Ditzel , Brenda |
| 38632179 | Dogliolo , Braian |
| 36770208 | Drughieri , Estefania Alejandra |
| 38102988 | Dupuy , Marcos Kevin |
| 42619049 | Eloy , Erika Gabriela |
| 31998292 | Enriquez , Diego Abel |
| 46418607 | Enriquez , Diego Ariel |
| 34382872 | Enriquez , Jesica Daiana |
| 31658723 | Enriquez , Julio Alfredo |
| 37425773 | Ercoli , Maria Eugenia |
| 41097410 | Errazquin , Josefina |
| 37372545 | Esteban , Sebastian |
| 36760855 | Estevez , Karen |
| 45066344 | Estevez , Dalila |
| 39351093 | Estevez , Kevin |
| 34887026 | Estrada , Juan Jose |
| 30902093 | Etchegaray , Juan Ignacio |
| 45501126 | Etcheverry , Yazmin |
| 39351054 | Etcheverry Luengo, Maria Alejandra |
| 41724266 | Etulain , Nicolas Agustín |
| 36770087 | Fabris , Agustina |
| 31648285 | Fallecen , Maria Eugenia |
| 38632070 | Fanzi , Magali Soledad |
| 43865620 | Farias , Jennifer |
| 30646505 | Fegan , Juan José |
| 38632176 | Fernandez , Mauricio |
| 42542122 | Fernandez , Aldana Yanet |
| 29162567 | Fernández , Carlos |
| 29728338 | Fernandez , María Andrea |
| 26839484 | Fernandez , Maria Carolina |
| 38173989 | Ferreira , Chistopher Alexis |
| 37033635 | Ferreyra , Juan |
| 34876574 | Fleite , Mauricio |
| 40743533 | Flores , Leandro |
| 39351025 | Flores , Martina |
| 35097292 | Fontana , Yanel Lujan |
| 41873620 | Fontana , Bianca Nicole |
| 38632187 | Fontana , Micaela Marianne |
| 40859440 | Fontana Cardinali, Franco Gabriel |
| 22318660 | Franco, Gerardo Carlos |
| 41873671 | Frank , Lucas Abel |
| 36770049 | Frank , Yessica Alejandra |
| 38083214 | Fresnadillo , Juan Alberto |
| 41097420 | Frias , Agustina Eliana |
| 39597143 | Frias , Bernardette |
| 39508338 | Fuentes , Juan Manuel |
| 36319118 | Fuentes , Maria Cecilia |
| 30902022 | Funari , Maria de los Angeles |
| 42539271 | Funes , Ramiro |
| 38961184 | Gaita Bonetti, Lis Diana |
| 41037814 | Galarraga , Rita Soledad |
| 44043357 | Galiano , Agustina Alejandra |
| 37425884 | Galiano , Gabriela |
| 44166008 | Galiano , Maria de los Angeles |
| 39850875 | Gallo , Enzo Hernan |
| 33467945 | Gallo , Maria Noelia |
| 38632232 | Gallo , Micaela Judith |
| 42773398 | Galmez , Esteban |
| 25335177 | Gálmez , Mauricio Hernan |
| 34951007 | Galván , Jose |
| 39810698 | Galvetti , Jaqueline Valeria |
| 37425956 | Galvez , Alejandra Soledad |
| 36770209 | Galvez , Lucrecia Paola |
| 36770194 | Gancedo , Maria Fernanda Ayelen |
| 40668008 | Garbalena , Ana Belén |
| 39351173 | Garcia , Agustín Nicolas |
| 37282168 | Garcia , Alexis |
| 39280174 | Garcia , Guadalupe |
| 31998412 | García , Melina Lorena |
| 39810537 | Garcia , Micaela |
| 40754834 | Garcia Arque, Facundo Martin |
| 43657778 | Garcia Schaffner , Violeta |
| 39958010 | Garibotti , Matias Hernan |
| 38863459 | Garrido , Pamela Alejandra |
| 42773367 | Gassele , Franco |
| 43798066 | Gassele , Roman |
| 43865686 | Gassele , Santiago Daniel |
| 42901661 | Gatica , Enzo |
| 43970085 | Giacobbe , Matias |
| 39508266 | Gilardi , Agustin |
| 41548751 | Gilardi , Fedra |
| 42418337 | Gimenez , Jennifer Gisele |
| 46263328 | Giuliani, Melani |
| 39280133 | Giuliani , Fabricio Emanuel |
| 41203724 | Godoy , Cristian Santiago Nicolas |
| 44113686 | Godoy , Juan Pedro Roman |
| 29352804 | Gomez , Adan Javier |
| 30463941 | Gómez , Alberto Oscar |
| 20843413 | Gomez , Alicia Marcela |
| 38632236 | Gomez , Emmanuel |
| 29317701 | Gomez , Hernán Maximiliano |
| 38362078 | Gomez , Johana Natali |
| 34382505 | Gomez , Marcela Yesica Pamela |
| 35431893 | Gonzalez , Agustina |
| 37770676 | Gonzalez , Agustina |
| 46270253 | Gonzalez , Anny |
| 37915120 | Gonzalez , Daniel Alejandro |
| 29417747 | Gonzalez , Dante Ezequiel |
| 42040348 | Gonzalez , Emiliano |
| 39351045 | Gonzalez , Enzo Ariel |
| 34382755 | Gonzalez , Gisela Silvina |
| 37425933 | González , Jacqueline |
| 40462739 | Gonzalez , Julieta Cecilia |
| 44320682 | Gonzalez , Lucia Milagros |
| 39597194 | Gonzalez , Luciano |
| 29217679 | Gonzalez , Marcela Alejandra |
| 25726196 | Gonzalez , Maria Ana |
| 34876554 | Gonzalez , Maria Julia |
| 30275336 | Gonzalez , Mario Alberto |
| 20985125 | Gonzalez , Monica Sandra |
| 40736212 | Gonzalez , Rocio Lucrecia |
| 31998470 | Gonzalez , Silvana Victoria |
| 37033681 | Gonzalez , Yasmin |
| 39810515 | Gonzalez Casola, Maria Sol |
| 35408148 | González Mesquida, Luis Nicanor |
| 31658765 | Grisson , Pamela Natalia |
| 34382828 | Groppa , Alejandro Ezequiel |
| 39810622 | Guattini , Florencia |
| 31658676 | Guerrero , Jimena Estefania |
| 43512189 | Guevara , Amparo Sofia |
| 39875372 | Gutierrez , Camila Marianela |
| 30870838 | Guzman , Fedra |
| 40258946 | Haurat , Matias Ezequiel |
| 41548766 | Heim , Jacqueline |
| 34382765 | Hernandez , Tamara Daiana |
| 42040412 | Hernando , Facundo |
| 30902250 | Hernando , Yesica Paola |
| 41548802 | Herrera , Joan Maximiliano Emanuel |
| 35795427 | Herrera , Lucas Adhemar |
| 43056532 | Herrera , Rodrigo Alejandro |
| 35073614 | Herrero , Florencia Gisele |
| 27858491 | Hilero , Hector Matias |
| 34382711 | Ibañez , Cintia Romina |
| 44320671 | Ibañez , Elias Gabriel |
| 41097458 | Ibarra , Carlos Francisco |
| 34487107 | Ibarra , Maria Celeste |
| 24155239 | Indice , Maria Elilia |
| 34876560 | Iragüen Pagate, Eliana |
| 34534416 | Irigoyen Celis , Julian |
| 33985123 | Irrazabal , Karina Alejandra |
| 42773336 | Irrazabal , Lucas Agustin |
| 41896080 | Irrazabal , Luz Ayelen |
| 37425653 | Irrazabal , Micaela Janett |
| 43483507 | Irusta , Cristian Agustin |
| 41548844 | Islas Tello, María Jorgelina |
| 27082859 | Issetta , Pablo Miguel |
| 43458779 | Iturralde , Axel Ezequiel |
| 39597147 | Iturralde , Dafne Macarena |
| 43798043 | Jaime Jaleo, Avigail Lucía |
| 36770331 | Jareño , Claudia Elizabeth |
| 38363572 | Jareño , Claudio David |
| 29329310 | Koch , Yanina Noelia |
| 34534489 | Konig , German Horacio |
| 37785217 | Lamaison , Evaristo Fabian |
| 36770403 | Lamaison , Maria Mercedes |
| 34876604 | Lamaison Servera, Maria Cristina |
| 31216721 | Lamas , Maria Agustina |
| 42542127 | Landaburo , Diego Isaias |
| 44929117 | Lara , Rodrigo Exequiel |
| 21961824 | Larramendi , Sandra Margarita |
| 46418611 | Larrigandiere , Florencia |
| 29728378 | Larrigandiere , Karina Paola |
| 34382761 | Larroque , Valeria |
| 36770076 | Larrosa , Gaston |
| 42542187 | Larroude Moriames, Matias |
| 34762852 | Lasala Gomez, Rodrigo Ezequiel |
| 18336091 | Latour , Raul Ernesto |
| 29728437 | Lauro , Federico Lujan |
| 29084470 | Lazcano , Jimena Maria Soledad |
| 29505649 | Leal Ravera, Juan Sebastian |
| 35431816 | Leali Scribanti , Florencia |
| 25851823 | Ledesma , Gustavo Miguel |
| 95330482 | Leguizamon , Griselda |
| 42064199 | Leiva , Brian Ezequiel |
| 41873682 | Lencina , Kevin Alexander |
| 44320626 | Lencina , Magalí Ayelén |
| 39850841 | Lencinas , Noelia Ivon Alejandra |
| 39280180 | Leones , Sabrina Vanesa |
| 38916113 | Leston , Florencia Victoria |
| 33587084 | Leston , Pablo Luis |
| 34382738 | Llamas , Bruno Tomas |
| 44169231 | Locatelli , Segundo |
| 41724230 | Logotetti , Marianela |
| 27082975 | Logotetti , Norma Graciela |
| 26598535 | Lopez , Fabio Alejandro |
| 37282199 | Lopez , Fernando |
| 39508248 | Lopez , Maria Eugenia |
| 39810535 | Lopez , Marisol |
| 42418367 | Lopez , Santiago |
| 34876730 | Lopez , Selva Daniela |
| 44929148 | Lopez Losada , Gonzalo |
| 37426016 | Losada , Agustina |
| 33211143 | Loza , Guillermo Fabian |
| 36770032 | Lucero , Soledad |
| 34115478 | Lucero , Alejandro Ezequiel |
| 43865644 | Lucero , Brenda |
| 46418672 | Lucero , Paulina Aylen |
| 43196633 | Luchini , María Belen |
| 18465281 | Lujan , Fernando |
| 37426027 | Lujan , Lautaro |
| 41873687 | Lujan , Nahuel Antonio |
| 40809378 | Lujan , Rocío |
| 38632067 | Luppi , Ruben Oscar |
| 40743588 | Magrotti , Amparo Maria |
| 32614952 | Maguna , Paola |
| 45459943 | Maida , Carola Casandra |
| 40809387 | Maidana , Hector Mario |
| 41203817 | Manazzi , Camila Antonela |
| 42461991 | Mancini , Fabricio |
| 34876883 | Mansilla , Anahi |
| 47948308 | Mansilla , Florencia |
| 38083440 | Mansilla , Maria Pia |
| 42901575 | Mansilla , Nicolas |
| 44166017 | Mansilla , Veronica Alejandra |
| 40718058 | Manzilla , Mariano Javier |
| 41203711 | Marchesi , Kevin Agustin |
| 36152286 | Marín , Mauricio |
| 43657720 | Marqueli , Agustin Emmanuel |
| 38916064 | Marquez , Francisco |
| 34876705 | Marquez , Adrian Ezequiel |
| 44929284 | Marquez , Belen |
| 37033460 | Marquez , Florencia |
| 34876884 | Marquez , Sebastian Daniel |
| 42901596 | Martin , Agustina Abigail |
| 35798220 | Martin , Carolina Mabel |
| 17585799 | Martín , Julio Alberto |
| 41884016 | Martínez , Bautista |
| 43865681 | Martínez , Brisa |
| 45190774 | Martinez , Emanuel |
| 38918969 | Martinez , Joaquin |
| 42235526 | Martinez , Natalia |
| 41873648 | Martinez , Paul Omar |
| 25695979 | Martinez , Roberto Ariel |
| 43798093 | Martinez , Sabrina |
| 39597177 | Martinez , Sara |
| 40718070 | Martinez , Ulises |
| 32426516 | Martinez Boriglio , Luisina Vanesa |
| 38632286 | Martini , Guadalupe |
| 36770165 | Martini , Bruno |
| 32692491 | Martini , Luana |
| 38632150 | Martins , Carlos Nicolas |
| 33039480 | Marzucco , Matias Nicolas |
| 39508229 | Matamales , Alejandro Exequiel |
| 37426002 | Matamales , Bruno Ezequiel |
| 41068634 | Matamales , Matias |
| 31998432 | Mateos , Gonzalo |
| 37033435 | Mateos , Juan Sebastian |
| 34170466 | Matta , Luciano |
| 32917798 | Matzkin , Gisele Perez |
| 35097041 | Mazaffra, Dario |
| 38722594 | Medina , Itati Elizabeth |
| 29162609 | Medina , Juan Mauricio |
| 43657766 | Medina , Selene Elizabeth |
| 35795061 | Melgar , Manuela |
| 35795102 | Mena , Yanina Violeta |
| 39850847 | Mendez , Ivo Maciel |
| 22318592 | Mendez , Jorge Daniel |
| 39597136 | Mentasti , Juan Pedro |
| 38083163 | Mesa , Camila |
| 40668085 | Mesqui , Antonella Daiana |
| 42901510 | Mesqui , Fernando Gabriel |
| 35438769 | Meza , Julio Rafael |
| 42773388 | Michelli , Amparo |
| 43865685 | Miguens , Braian |
| 41758864 | Milla , Fernando |
| 37402060 | Miro , Santiago |
| 42040496 | Molinari , Bruno Ricardo |
| 34876776 | Monforte , Jonathan Emmanuel |
| 47055550 | Monforte , Juliana |
| 46692653 | Montejo , Guadalupe |
| 37895722 | Montiel , Fernando Ezequiel |
| 42618873 | Moralejo , Florencia |
| 39810542 | Morales , Aldana Micaela |
| 31658730 | Morales , Esteban Gerardo |
| 45190771 | Morales , Santiago Omar |
| 37425998 | Morales Galiano, Franco Nahuel |
| 38632243 | Morard , Luciano |
| 38918966 | Moriame , Darian |
| 28393086 | Mosqueira , Raul Maria |
| 43733991 | Mossetto , Jose Francisco |
| 39597116 | Moyano , Anahi |
| 35431855 | Moyano , Yain |
| 37397644 | Much Ghiglione, Juan Pablo |
| 34115458 | Munguia , Fernando |
| 40258925 | Muñagorri , Agustin Adrian |
| 33981104 | Muñoz , Facundo Ricardo |
| 39850984 | Muñoz , María Eugenia |
| 32989657 | Muzzio , María Marcela |
| 42294403 | Nanton , Gonzalo |
| 29729048 | Narpe , Hugo Alberto |
| 37940393 | Narvarte , Alejandro Martin |
| 34115472 | Navas , Federico Emiliano |
| 38083408 | Navas , Fernando Emmanuel |
| 33587056 | Neira , Maximiliano |
| 33829289 | Neiser , Gabriela |
| 35097217 | Neiser , Max |
| 44839804 | Nicotena , Esteban |
| 38083484 | Nicotena , Maria Florencia |
| 29162515 | Nieto , Sebastian Manuel |
| 33587079 | Novelli , Cristian Javier |
| 38083265 | Novillo , Brenda Karen Denise |
| 38083266 | Novillo , Evelyn Noelia Magali |
| 35374368 | Nuevo , Fausto |
| 34170418 | Nuevo , Jorge Fernando |
| 36760849 | Nuevo , Santiago |
| 42040373 | Nuñez , Lucas |
| 36894972 | Ocampo De La Cruz, Francis Miguel |
| 29417716 | Ochoa , Carolina |
| 23874331 | Olguin , Sergio Bruno |
| 29162600 | Olguin , Silvia Liliana |
| 46418664 | Oliva , Emilia Sabrina |
| 43920494 | Oliva Amillano , Guido |
| 33586937 | Olivera , Nahuel |
| 34876593 | Olivier , Facundo |
| 93926688 | Orellana Guerrero, Sara Yliana |
| 44267553 | Oroño Godin, Sofia |
| 35623311 | Ortega , Matias Luciano |
| 42542123 | Ortiz , Guillermo Maria |
| 42901673 | Ortiz , Karen Ailen |
| 41097460 | Ortiz , Luciano Ezequiel |
| 44267556 | Ortiz , Martina |
| 26854248 | Ortiz , Norma Graciela |
| 34382749 | Oses , Erica Gisele |
| 44929204 | Oses Herrera, Jorge Ariel |
| 42040423 | Osio Sotomayor, Agustina Zoe |
| 37033447 | Osterrieth , Romina |
| 30902106 | Otero , Ezequiel |
| 40258862 | Otero , Jennifer Lucía |
| 43657764 | Otero , Natalia |
| 24109374 | Oyhamburu , Julio Javier |
| 40462792 | Oyhamburu , Guillermina Lorena |
| 34648468 | Ozafran , Maria Gisele |
| 33551928 | Pablos , Emanuel |
| 35431890 | Pablos , Rocio |
| 35431889 | Pablos , Solange |
| 39236648 | Paez , Leandro Gabriel |
| 42619084 | Pagella , Francisco |
| 38916123 | Pagella Milla, Pablo Raul |
| 34361374 | Paiva , Federico Nicolas |
| 39850944 | Palavecino , Rocio Jaqueline |
| 38916101 | Palma , Romina Yisel |
| 41097415 | Palomeque , Angie Karen Nataly |
| 42040440 | Palomeque , Camila |
| 48035191 | Palomeque , Jacqueline Ariana |
| 39508384 | Panelo , Yamila Lujan |
| 36770017 | Paredes , Florencia Sabrina |
| 35088934 | Paredes , Jonatan |
| 37033610 | Parras , Julieta |
| 42619072 | Pascual , Ernestina |
| 39596413 | Pavon , Sofia |
| 33926200 | Pedruelo , Michel Donald |
| 34876583 | Peredo , Paola Cecilia |
| 27420558 | Peredo , Guillermo |
| 31998388 | Pereyra , Carlos Eduardo |
| 31653519 | Pereyra , Jose Alberto |
| 41896048 | Pereyra , Sofia |
| 34876754 | Pereyra , Virginia Magali |
| 23874068 | Perez , Marcelo Fabian |
| 35431869 | Perez , Dario Manuel |
| 37282146 | Perez , Federico |
| 42195660 | Perez , Milagros Aylen |
| 37033629 | Perez , Vanina Johanna |
| 37033469 | Perez , Yanina Gisele |
| 95668565 | Perez Becerra, Orlando Jose |
| 42542164 | Perez Correa, Milena |
| 36770048 | Perez Cretari, Agustin |
| 45066326 | Perez Gastaldi, Marcos Jose |
| 32198021 | Persani , Maria Florencia |
| 29162545 | Persani , Marianela |
| 31481931 | Persani , Marina |
| 40019811 | Pinardi , Bruno Alejo |
| 31658687 | Pincen , Mauricio |
| 37877580 | Pingitore , Diego Ezequiel |
| 41401102 | Piro , Nicolas Esteban |
| 28096975 | Pitoni , Vanesa |
| 31658544 | Policelli , Jorge Damian |
| 43970045 | Polizzelli , Sofia Alejandra |
| 29417505 | Ponce , Pablo Javier |
| 39508225 | Ponce , Tamara Judith |
| 43798086 | Porcel , Hector Andres |
| 35097213 | Porcel , Florencia |
| 23874021 | Porcel , Hector Abel |
| 21501807 | Porcel , Roberto Luis |
| 45628992 | Portela , Guillermo Axel |
| 37425649 | Portela , Nahuel Ezequiel |
| 40289496 | Possamai , Evelyn Ailen |
| 35795014 | Prieto , Mariana Ines |
| 37426000 | Pringles Fuentes, Daniela Roxana |
| 38632188 | Priolo , Francisco Augusto |
| 31998468 | Puchetta , Cecilia Cristina |
| 43970004 | Querejeta , Kevin |
| 37033405 | Quiruela , Antonela |
| 39850985 | Quiruelas , Luciano |
| 41548748 | Quiruelas , Marcelo Sebastián |
| 44320643 | Rabanal , Lucia Cejas |
| 38083067 | Rabasa , Martina |
| 32641773 | Racchi , Maria Luz |
| 32198146 | Ramirez , Juan Alberto |
| 45988846 | Ramirez , Mailen |
| 39858701 | Ramirez , Pedro Agustin |
| 48035163 | Ramirez , Valentin |
| 37551898 | Ramis , Cristian Nicolas |
| 33044029 | Ramos Gonzalez, Brenda Soledad |
| 34382660 | Rapetti , Silvina Beatriz |
| 31952789 | Raposo , Jonatan |
| 25335400 | Rebon , María Inés |
| 37620749 | Regalado , Marcelo Agustin |
| 34074474 | Regis , Mercedes |
| 43865618 | Reinoso , Paula Selene |
| 38632249 | Ressia , Jaqueline |
| 40462763 | Ressia , Julián |
| 25335215 | Ressia , Maria Elena |
| 37033490 | Rey , Carlos Ezequiel |
| 41203986 | Rey , Facundo Campo |
| 42418370 | Reyes , Andres |
| 24441820 | Riboa , Jorge Luis |
| 36770151 | Riboa , Jorge Luis |
| 36760865 | Ricciardi , Fiorella |
| 26022223 | Rigo , Margarita Alicia |
| 40809331 | Rincon , Axel |
| 40668076 | Rincon , Florencia |
| 46692506 | Rincón , Laureano |
| 31998281 | Rindlisbacher , Cintia Sabrina |
| 36770097 | Ripa , Lucia |
| 35795054 | Ripamonti , Maria Lucia |
| 36319117 | Rivarola , Yanel Barbara Celeste |
| 43797645 | Rivero , Milagros Lujan |
| 42342130 | Roca Espain , Bernarda |
| 37426007 | Rodriguez , Eduardo Oscar |
| 38363880 | Rodriguez , Carla Macarena |
| 40668014 | Rodriguez , Cintia Daiana |
| 27239914 | Rodriguez , Cristian Alberto |
| 44839803 | Rodriguez , Joaquin Ezequiel |
| 40258828 | Rodriguez , Karen Giselle |
| 37425893 | Rodriguez , Luciano |
| 35097119 | Rodriguez , Nilda Andrea Celeste |
| 40462731 | Rodriguez , Santiago Luis |
| 38160087 | Rodriguez , Veronica Fernanda |
| 45293840 | Rodriguez Arena, Tomas |
| 37425552 | Roedelsperger , Maria Candela |
| 38083363 | Rojas , Rocio Yanel |
| 37425716 | Rojas , Sofia Mabel |
| 39810576 | Romero , Camila Eliana |
| 28677617 | Romero , Franco |
| 30902295 | Romero , Mauricio Ezequiel |
| 37425936 | Rosa, Noelia Belen |
| 37425572 | Rose Cash, Franco Emanuel |
| 36301949 | Rosello , Maria Ines |
| 31658774 | Rosero , Alexis Ariel |
| 28301318 | Rosero , Diego German |
| 43522781 | Rossi , Facundo Samuel |
| 38863454 | Rossi , Kevin |
| 39508222 | Rossi , Nicolas |
| 41548727 | Rossi , Paola |
| 34170469 | Rotela , Carla Elisa |
| 45459937 | Roura , Sharon Melissa |
| 10227875 | Royg , Celia Luisa |
| 38916192 | Rueda , Leonelo Nahuel |
| 42461907 | Ruíz , Luciano Miguel |
| 28279360 | Sabre , German Daniel |
| 40668040 | Sagardoy , Alexis Manuel |
| 21973686 | Salazar , Juan Angel |
| 32231372 | Salcedo , Gabriela Marta Jael |
| 40756687 | Salgueiro , Ivan |
| 41068698 | Salgueiro , Valeria |
| 37282151 | Salva , Gonzalo |
| 42901639 | Salvarezza , Paula |
| 36716936 | Salvo , Ricardo Fernando |
| 28301380 | Sanchez , Jorgelina |
| 43512144 | Sanchez , Amparo |
| 23909977 | Sanchez , Andrea Graciela |
| 42342148 | Sanchez , Candela Yael |
| 35095804 | Sanchez , Carla Anahi |
| 20243343 | Sánchez , Lucrecia Alejandra |
| 30822840 | Sanchez , Luis Gerardo Fermin |
| 37425616 | Sanchez , Mayra |
| 41884003 | Sanchez , Sofia Belen |
| 41002005 | Sanchez Arias, Milagros Guadalupe |
| 21759740 | Sangirolami , Cecilia Ines |
| 33258595 | Sangla , Evangelina |
| 31658634 | Sangla , Marianela |
| 42040356 | Santa Eulalia, Juan Roman |
| 36770372 | Santillan , Maria Jose |
| 35331152 | Santillan , Mayra Lucia |
| 40258826 | Santillan , Roberto |
| 47378825 | Santiso , Abril |
| 39351115 | Santomingo , Yesica |
| 33468117 | Sañudo , Ángel Jesus |
| 37770565 | Sar , Agustina |
| 44113647 | Sar , Felipe Dario |
| 36770034 | Sarni , Federico |
| 31478698 | Satarain , Federico Ezequiel |
| 35665416 | Scarpino Garcia, Anyelen |
| 41167467 | Schinca , Evelyn |
| 42060756 | Schiro Falcon, Melina Marisol |
| 36466568 | Segovia , Lucas Emanuel |
| 29094715 | Segovia , Nelson Luis |
| 21445688 | Sepulveda , Ricardo Alberto |
| 45192083 | Silva , Diego Ezequiel |
| 38083145 | Silva , Nestor Ariel |
| 96021498 | Silva Madrid, Luz Yolmar |
| 36770193 | Silva Muñoz , Constanza |
| 37425762 | Silvani Martinez, Rafael |
| 29162675 | Simon , Anibal Gaston |
| 40809355 | Simon , Facundo Javier |
| 39351137 | Soldatti , Emanuel Maximiliano |
| 27082856 | Soldivier , Anabela Yanina |
| 44320649 | Sosa , Lucia |
| 32862825 | Sosa , Martin Andres |
| 41203785 | Sosa , Matias |
| 44720379 | Sosa , Rodrigo |
| 21445532 | Sosa , Stella Maris |
| 35795396 | Soto , Maria Evangelina |
| 34125331 | Streintenberger , Gaston |
| 36770481 | Suarez , Facundo Maximiliano |
| 46418653 | Suarez , Malena Celeste |
| 45913935 | Suárez , Sofía Ana Joaquina |
| 33467984 | Sumariva Servera, Gustavo Joaquin |
| 37425806 | Sureda , Gonzalo Ricardo |
| 38083381 | Taconau , Melina Macarena |
| 40258857 | Taday , Ivana Narella |
| 37425900 | Taday , Kevin Marcos Gabriel |
| 40462713 | Taday , Maria Sol |
| 35795027 | Tartara , Maria Sofia |
| 38633134 | Tassone , Maria Soledad |
| 39850995 | Taybo , María Luz |
| 36075257 | Tello , Lujan Edith |
| 40192022 | Teplitzky , Emiliano Orlando José. |
| 38916076 | Terragni , Agustina Mariel |
| 38105096 | Tesio , Juan Ignacio |
| 34876502 | Testardini , Fermin |
| 37425758 | Tiberti , Luciana |
| 46630303 | Torres , Agostina |
| 34876667 | Torres , Fabián David |
| 35237755 | Torres , Franco Luján |
| 28570901 | Torres , Nancy Betina |
| 42088234 | Torres , Tomas |
| 43732715 | Torres Chaves, Oriana Kimey |
| 30145289 | Toselli , Mauro Matias |
| 36760806 | Traversa , María Agustina |
| 21501252 | Trecco , Myrian Raquel |
| 38083382 | Triciani , Daiana |
| 40462757 | Triciani , Macarena |
| 39810573 | Trigueiro Martinez, Maia |
| 38083249 | Trionfetti , Juan Franco |
| 31299967 | Ullman , Nicolas |
| 37025773 | Ullua , Daiana |
| 35795009 | Urbaneja , Anabella |
| 40462770 | Urtizberea , Matias |
| 29729053 | Ustari , Gustavo Daniel |
| 43798083 | Ustarroz , Marina |
| 34115477 | Ustarroz , Sebastian Anibal |
| 35097206 | Ustarroz Lambertt, Noelia Ivana |
| 39099448 | Valenzuela , Julieta Soledad |
| 43045798 | Vallejo , Camila |
| 43201174 | Vallejo , Lucia |
| 37372673 | Vallejo , Tania Denis |
| 36397706 | Varela Mojo , Ivana |
| 35142936 | Vedoya , Carlos Ismael |
| 36301858 | Vega , Amalia Josefina |
| 43970024 | Vega , Lorena Ayelen |
| 40668089 | Vega , Michelle |
| 14849997 | Velasquez , Jorge Nelson |
| 29162744 | Velasquez , Nelson Gastón |
| 41548863 | Velazquez , Lucia |
| 40493795 | Velazquez , Franco Ezequiel |
| 29417630 | Velazquez , Maria Fernanda |
| 47630947 | Velazquez , Rocio Belén |
| 31216609 | Velazquez , Vanesa Liliana |
| 37033669 | Velutti , Serena |
| 37382447 | Venchi , Veronica |
| 32663812 | Vera , Cecilia Silvina |
| 31942385 | Vico , Griselda Carolina |
| 37138332 | Vidable , Carlos Hernan |
| 36770489 | Viera , Federico |
| 45628771 | Viglino , Franco Joaquin Nicolas |
| 42040435 | Vilches , Camila Abigail |
| 30074826 | Villafañe , Alba Anahi |
| 45066325 | Villalba , Katia Ayelen |
| 33908191 | Villalba , Luis Gabriel |
| 32692414 | Villamor , Jonatan |
| 34115401 | Villanueva , Maria Daniela |
| 39788920 | Villar , Sofia Jacqueline |
| 31998271 | Villarreal , Cristian Dario |
| 40258927 | Villarreal , Emmanuel |
| 37425996 | Villarreal , Manuela Fernanda |
| 42040445 | Villarreal , Micaela Jeanette |
| 42901577 | Villarreal , Pilar Agustina |
| 44113687 | Viñas , Lucas |
| 39850844 | Viñas , Maria Paz |
| 36770452 | Violla , Leandro Andres |
| 17585733 | Viretto , Mirta Estela |
| 35795493 | Vitale , Brenda Luciana |
| 23869585 | Vivas , Roberto |
| 40289498 | Wiedemann , Nicolas |
| 44929172 | Witig , Matias Nicolas |
| 44426583 | Yoice , Delfina |
| 42761473 | Zaine , Damaris Gabriela |
| 42761472 | Zaine , Marcos Gabriel |
| 40756400 | Zanesi , Juan Alberto |
| 38083134 | Zanollo , Juan Ignacio |
| 38916109 | Zucchini , Diego |
| 39508256 | Zugasty , Joaquin |
| 38083137 | Zugnoni , Walter Emmanuel |
¿Qué es Mi Lote?
Un Programa Municipal aprobado mediante la Ordenanza 5661/2025 de acceso a suelo urbano a un valor por debajo de mercado y en condiciones de pago accesibles, destinado a personas y familias que buscan adquirir un terreno para construir exclusivamente su vivienda única, familiar y de ocupación permanente.
Objetivos del Programa
- Garantizar el acceso a la tierra como condición básica para el ejercicio del derecho a la vivienda digna.
- Promover un desarrollo urbano planificado e inclusivo.
- Establecer un mecanismo de adjudicación justo, equitativo y transparente
- Asegurar la función social de la propiedad evitando la especulación inmobiliaria.
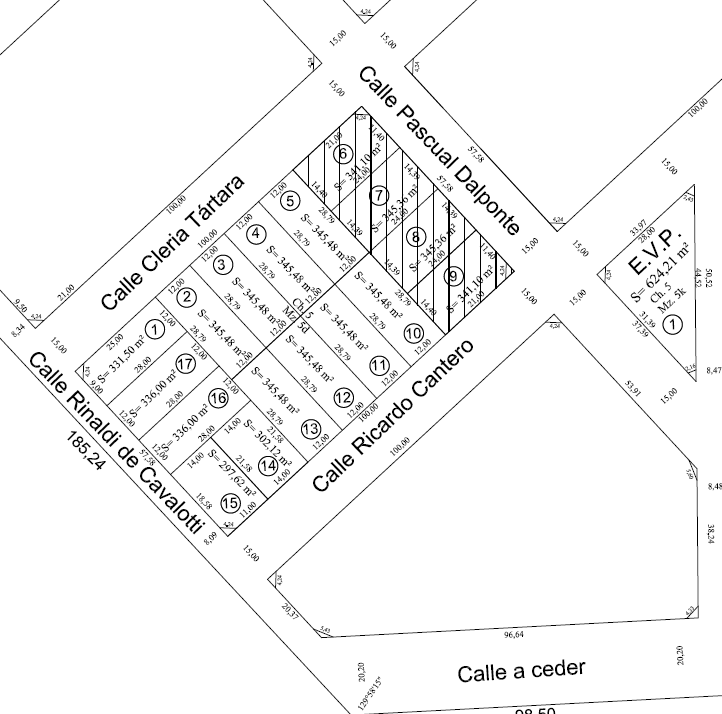
Ubicación de los lotes
El Municipio dispondrá para la ejecución del Programa Mi Lote un total de 90 terrenos con servicios, ubicados en el distrito de Trenque Lauquen.

Planos de la ubicación de los lotes en cada localidad
Trenque Lauquen
Ampliación Urbana
30 de Agosto
Beruti
Garré
Valor de los lotes
- El valor de los lotes incluidos se determinará en función de su superficie individual, aplicando un valor de referencia por metro cuadrado, expresado como fracción del Salario Mínimo Vital y Móvil (SMVM) vigente al momento de la firma del boleto de compraventa.
- El precio de venta de los lotes incluidos no podrá ser inferior a CUARENTA (40) Salarios Mínimos, Vitales y Móviles (SMVM), ni superior a CINCUENTA (50) Salarios Mínimos, Vitales y Móviles (SMVM), vigentes al momento de la firma del boleto de compraventa.
- Ejemplo: con un SMVM de $322.000, el valor aproximado ronda entre $12.880.000 y $16.100.000.
Modalidades de pago
Contado:
Pago total del valor del lote al momento de firmar el boleto de compraventa.
Financiado:
- Anticipo: 30% del valor.
- Saldo: en 28 cuotas mensuales y consecutivas.
- Ajustadas trimestralmente por el Coeficiente de Variación Salarial (CVS) que publica el Instituto Nacional de Estadísticas y Censos (INDEC).
- En esta modalidad, el adjudicatario deberá presentar un fiador, quien se constituirá en deudor solidario, debiendo además denunciar un inmueble de su propiedad como garantía real del cumplimiento del pago del saldo del precio. El inmueble ofrecido como garantía deberá encontrarse libre de todo gravamen y restricciones.
¿Cómo inscribirse?
Inscripción 100% online.
- Se publica la convocatoria en la web oficial de la Municipalidad.
- La inscripción es pública y gratuita.
- El formulario se completa en línea y tendrá carácter de Declaración Jurada.
- Pasos a seguir para inscribirse y completar el formulario: el usuario deberá ingresar a la página oficial de Mi Lote de la Municipalidad de Trenque Lauquen.
https://www.trenquelauquen.gov.ar/milote/Ir a FORMULARIO DE INSCRIPCIÓN
Se abrirá una portada con las opciones:
ARCA, MI ARGENTINA, MUNICIPALIDAD DE TRENQUE LAUQUENElegir la Opción ARCA o la opción MI ARGENTINA. (Es importante aclarar que NO se podrá ingresar por el link de Municipalidad de Trenque Lauquen).
Validar el ingreso con usuario y contraseña ÚNICAMENTE en ARCA o en MI ARGENTINA.Si no tiene cuenta, hay que crear una cuenta nueva (ir al campo de crear cuenta).
Para eso, se le va a solicitar al usuario que ingrese su CUIL y una CONTRASEÑA.Con esos datos se abrirá un formulario que deberá completar con los datos que se solicitan en todos los campos.
Con la cuenta creada, va a ingresar directamente al formulario de Mi Lote.
Y de esa manera podrá completar el formulario de Mi Lote para hacer la inscripción al Programa Municipal. - Para el caso puntual de consultas presenciales en:
Trenque Lauquen: Desarrollo Humano (ubicado en calle 25 de Mayo Nº 44) en el horario de 7:00 horas a 13:00 horas.
30 de Agosto: Ente Descentralizado de 30 de Agosto (ubicada en Aristóbulo del Valle N° 151) en el horario de 7:00 a 13:00 horas.
Beruti: Delegación Municipal de Beruti (ubicada en calle Saavedra N° 551) en el horario de 7:00 horas a 13:00 horas.
Garré: Delegación Municipal de Garré (ubicada en boulevard De la Bandera N° 57) en el horario de 7:00 a 13:00 horas.
¿Cuándo inscribirse?
- Apertura de inscripción: 18 de agosto.
- Cierre de inscripción: 18 de septiembre, inclusive (hasta las 00.00 horas).
¿Quiénes pueden inscribirse?
- Personas físicas mayores de edad.
- Personas Solas, Grupos Familiares o Personas con Discapacidad.
Deberán acreditar:
- Residencia mínima: Que demuestre cinco (5) años de residencia en el ámbito del distrito o haya residido en el mismo los últimos tres (3) años inmediatos anteriores a la fecha de la inscripción.
- No poseer otros inmuebles: Que no sean propietarios y/o poseedores a título de dueño de inmueble a nombre del peticionante o cualquier persona del grupo familiar.
- Que al momento de la petición del terreno no sean adjudicatarios de unidades habitacionales en planes de públicos de inmuebles.
- Solvencia para pagar el lote y construir: Que puedan acreditar capacidad económica suficiente para afrontar el pago del lote y construcción de la vivienda, sea con recursos propios o con posibilidad de acceso a financiamiento formal.
- A fin de garantizar una distribución equitativa y diversa de los lotes, se establece un cupo mínimo del DIEZ POR CIENTO (10%) de los lotes disponibles para ser adjudicados a personas solas, sin grupo familiar conviviente, que cumplan con el resto de los requisitos establecidos por la Ordenanza 5661/2025.
Definición de Grupo Familiar
Se considera Grupo Familiar al conjunto de personas unidas por vínculos de parentesco por consanguinidad, afinidad o adopción, que convivan en el mismo domicilio y compartan un proyecto de vida común. Incluye:
- Cónyuge o conviviente.
- Hijos/as y ascendientes.
- Otros integrantes que acrediten dependencia económica y convivencia efectiva con el titular postulante.
También se admitirá la inclusión de progenitores que, aun no conviviendo, posean un régimen de cuidado compartido, siempre que se acredite con la documentación correspondiente.
Documentación respaldatoria (entre otras):
- DNI de todos los integrantes del grupo familiar.
- Acta de matrimonio y/o acta de unión convivencial inscripta en el Registro Civil.
- En caso de uniones convivenciales sin inscripción formal, Declaración Jurada de Convivencia suscripta ante Escribano, Registro Público de Comercio y/o cualquier otra autoridad certificante.
- Partidas de nacimiento de hijos/as.
Definición de Discapacidad
Se aplicará el cupo de discapacidad al oferente que posea Certificado Único de Discapacidad (CUD) vigente y/o a cualquier otro integrante del grupo familiar que lo posea.
Documentación Respaldatoria
- Certificado Único de Discapacidad vigente.
Condiciones para construir
- Cargo de Construcción: El adjudicatario estará obligado a dar inicio a la construcción de su vivienda dentro del plazo máximo de TRES (3) años contados desde la firma del boleto de compraventa.
- Y deberá finalizarla dentro del plazo máximo de CINCO (5) años a partir de la misma fecha.
- El incumplimiento de cualquiera de estos plazos se considerará incumplimiento sustancial del cargo de construcción, habilitando al Municipio a iniciar el procedimiento de revocación de la adjudicación y/o retrocesión del dominio.
- La vivienda a construir deberá ser única, familiar, de ocupación permanente y no podrá ser destinada a otro uso.
- Se deberá presentar plano de obra propio o adherir a prototipos del Municipio.
- Para los adjudicatarios que lo soliciten, la Municipalidad de Trenque Lauquen pondrá a disposición en forma gratuita un plano normalizado de vivienda unifamiliar, para facilitar el acceso a la construcción de la vivienda.
- Los adjudicatarios estarán exentos del pago de los derechos de construcción correspondientes a la vivienda que se edifique sobre el lote adjudicado.
- Queda prohibido enajenar, ceder, alquilar o cambiar el destino del lote adjudicado. Tampoco podrá cederse el boleto ni los derechos derivados de la adjudicación.
Adjudicación:
- Publicación del listado preliminar al término del proceso de inscripción y evaluación para formular observaciones, impugnaciones o denuncias fundadas, respecto de la inclusión o exclusión de postulantes.
- Sorteo público:
El sorteo será público y se realizará con intervención de Escribano Público o autoridad competente, utilizando los números asignados en el padrón definitivo. Del sorteo surgirán:
Titulares adjudicatarios para los lotes disponibles.
Suplentes, ordenados por prelación, quienes accederán en caso de exclusión de un titular por incumplimiento de requisitos. El resultado del sorteo se publicará en el sitio web oficial.
Verificación final y presentación de documentación
Vencido el sorteo, el Departamento Ejecutivo Municipal, a través del área competente, realizará una verificación exhaustiva del cumplimiento de requisitos únicamente respecto de los postulantes sorteados (titulares y suplentes).
Los seleccionados serán notificados y deberán presentar, dentro de los cinco (5) días hábiles, la documentación respaldatoria que se les requiera para acreditar su situación personal, social y económica.
La documentación a presentar será determinada por el órgano competente designado por el D.E. y podrá incluir, entre otras:
- Documento Nacional de Identidad del postulante y, en su caso, de cada integrante del grupo familiar.
- Constancias de ingresos: recibo de sueldo y/o certificación contable de ingresos anuales y/o DDJJ de Ingresos Brutos y/o DDJJ de IVA y/o declaraciones juradas que el oferente estime oportuno acompañar.
- Índice de titularidad del Registro de la Propiedad Inmueble.
- Certificado de Discapacidad (CUD), si hubiere postulación por ese cupo.
- Si opta por financiación: documentación del fiador solidario y título de propiedad del bien ofrecido en garantía, libre de gravámenes, con el correspondiente informe de dominio.
- El incumplimiento en la presentación completa y en término de la documentación requerida implicará la exclusión automática del beneficiario del sorteo. En ese caso, el lote será ofrecido al suplente inmediato conforme el orden de prelación, bajo idénticas condiciones.
Adjudicación definitiva
Cumplida la verificación y acreditación de requisitos, el Departamento Ejecutivo dictará el acto administrativo de adjudicación definitiva a favor de los titulares sorteados que hubieran superado el control. La nómina final de adjudicatarios se comunicará a las áreas pertinentes, para continuar con la firma del boleto de compraventa y/o los instrumentos correspondientes.
SE CONFORMARON DOS LISTADOS DE POSTULANTES
SE ABRE UN PERÍODO DE UNA SEMANA PARA COMPLETAR Y/O CORREGIR DATOS EN EL FORMULARIO DE INSCRIPCIÓN
Luego del análisis realizado por las direcciones de Sistemas y de Tierras de la Municipalidad de Trenque Lauquen sobre el total de los inscriptos en el Programa Municipal Mi Lote, se conformaron dos listados de postulantes: un LISTADO PROVISORIO FINAL y un LISTADO PROVISORIO PARCIAL.
El LISTADO PROVISORIO FINAL quedó integrado por las personas que completaron el trámite con los datos requeridos ingresados correctamente en todos los campos del formulario online, y cuya información queda sujeta al posterior período de impugnaciones y a la presentación de la documentación que será requerida y evaluada en la etapa final del proceso.
En tanto que el LISTADO PROVISORIO PARCIAL quedó confeccionado con los postulantes que completaron de forma parcial o colocaron de manera incorrecta la información solicitada en casos puntuales y específicos.
Ahora los postulantes del LISTADO PROVISORIO PARCIAL tendrán la posibilidad de corregir, subsanar o completar la información del formulario entre el martes 7 de octubre y el martes 14 de octubre de 2025, inclusive.
Para esto, el Municipio habilitó exclusivamente a los postulantes del LISTADO PROVISORIO PARCIAL a completar la información permitiendo volver a ingresar al formulario online de la manera en la que lo realizaron inicialmente con su usuario y contraseña (en esta página se encuentra el link).

Además, cada uno de ellos recibirá un mail a sus casillas de correo electrónico informando esta situación.
Todos los postulantes que completen, corrijan o subsanen el formulario online podrán acceder y sumarse al LISTADO PROVISORIO FINAL, que luego pasará al período de impugnaciones y el posterior sorteo público.
Una vez concluida esta nueva etapa, los postulantes que no subsanaron, completaron o corrigieron su formulario online no podrán integrar el LISTADO PROVISORIO FINAL y tampoco accederán al sorteo público.
Por otro lado, todos los postulantes podrán observar y chequear en cuál de los dos listados quedaron ya que están publicados aquí (ver links de listados en esta página).
LOS ERRORES MÁS FRECUENTES Y CÓMO CORREGIR O COMPLETAR
Durante la revisión inicial de las inscripciones al Programa Mi Lote realizada por las direcciones de Sistemas y de Tierras del Municipio se detectaron principalmente los siguientes inconvenientes:
. Localidad no consignada: Algunos inscriptos no indicaron la localidad en la que desean ser seleccionados para la adjudicación del terreno (Trenque Lauquen, 30 de Agosto, Beruti o Garré), por lo que deberán incorporar ese dato para ingresar al Padrón Provisorio final.
. Confusión en la modalidad de pago financiado: El error más habitual se dio al elegir la opción de pago financiado, sin completar los datos del fiador ni declarar correctamente el inmueble ofrecido por este.
Entre los errores en los datos del fiador y el inmueble ofrecido se detectaron los siguientes casos:
- No se consignó el número de partida inmobiliaria, por lo que deberá ser completada con el número correspondiente a una partida válida.
- La partida inmobiliaria consignada resultó inválida, por lo que deberá cambiar esa partida e inscribir una nueva con un número correspondiente que sea válido para el trámite.
- La partida estaba asociada a otra persona distinta del fiador, por lo que para quedar ingresado de manera correcta al sistema deberá consignar una partida inmobiliaria y un fiador que coincidan.
- El mismo postulante se declaró como su propio fiador, lo cual no es admisible, por lo que deberá buscar un fiador con una partida inmobiliaria válida e incluirla en el campo correspondiente en el formulario online.
Consultas presenciales en:
- Trenque Lauquen: Desarrollo Humano (ubicado en calle 25 de Mayo Nº 44) en el horario de 7:00 horas a 13:00 horas.
- 30 de Agosto: Ente Descentralizado de 30 de Agosto (ubicada en Aristóbulo del Valle N° 151) en el horario de 7:00 a 13:00 horas.
- Beruti: Delegación Municipal de Beruti (ubicada en calle Saavedra N° 551) en el horario de 7:00 horas a 13:00 horas.
- Garré: Delegación Municipal de Garré (ubicada en boulevard De la Bandera N° 57) en el horario de 7:00 a 13:00 horas.
Ordenanza 5661/2025
Para ver y descargar Pdf



